Key Features
- 0 m2 build
- 4322 m2 plot
- Swimming Pool: No
Property Description
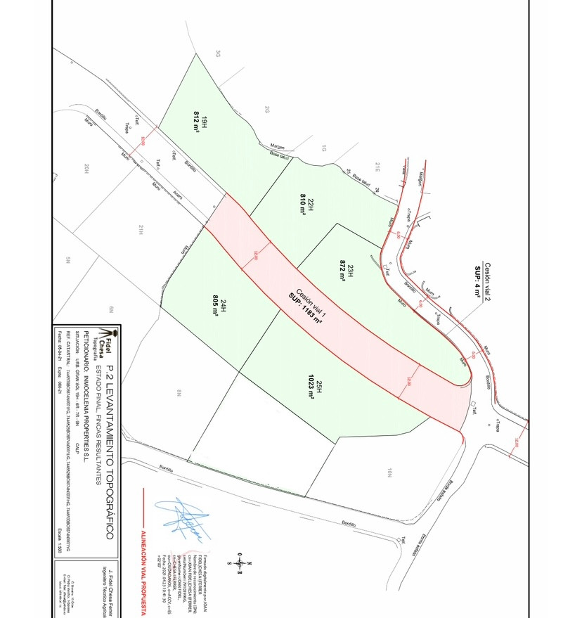
Five urban plots are being sold together in the exclusive residential area of Gran Sol, Calpe, one of the most beautiful locations on the Costa Blanca. Just 1.5 km from La Fustera Beach, these plots offer a privileged location between the sea and mountains, surrounded by nature and close to key services.
Details of the plots:
• 19H: 812 m²
• 22H: 810 m²
• 23H: 872 m²
• 24H: 805 m²
• 25H: 1,023 m²
Total: 4,322 m²
Exceptional environment:
• La Fustera Beach with Blue Flag 1.5 km away
• Benissa Ecological Walk just a few minutes away
• La Fossa Beach (Calpe) 2.5 km away
• Moraira only 9 km away
• Les Basetes Marina 2.3 km away
• Ifach Golf Club 6.5 km away
Ideal for residential or tourist projects in an area of great scenic and ecological appeal, with hidden coves, cliffs, and quality services.
Exclusive sale as a block. Not sold separately.
Feel free to contact us to arrange a visit!
Established in 2003 we have helped 1000's of overseas buyers realise their Spanish dream. Specialising in Property for Sale in Spain, we can help with organising your NIE Number application, opening a bank account, conveyancing, power of attorney and currency exchange. So if you are looking to buy Property in Spain get in touch with us today.
*** VIEWING AVAILABLE BY APPOINTMENT 365 DAYS PER YEAR - CONTACT US TO BOOK YOUR VIEWING TODAY ***
If you would like to discuss finance options and payment plans please don't hesistate to get in touch. For legal enquiries please email leah@sunworldlawyers.es, for finance options please email adam@sunworld.es
Reserve this Property
In order to reserve this property we require a 5000€ deposit to be paid and a Reservation Contract will need to be signed. Once received the property will be taken off the market and the sales process will begin.
Please note the 5000€ will be held in our client holding account until the Vendor has accepted the offer and both parties have signed a Sales Contract. After that time the deposit will be sent to the vendors lawyers and will become the initial payment of the agreed Purchase Price
To pay the deposit securely you can use the PayPal link below. Alternatively, you can contact us and we can organise a card payment or transfer.









